Risques naturels 13/03/2026 - 09:56 | La Réunion La Réunion : les coulées de lave du Piton de la Fournaise coupe une route nationale Une nouvelle fois, le Piton de la Fournaise est entré en éruption. Deux coulées de lave ont atteint la...
Risques naturels 04/03/2026 - 06:14 | La Réunion Un an après le cyclone Garance, toujours "la débrouille" pour des habitants sinistrés à La Réunion Dans certains quartiers de l'île de La Réunion, les dégâts provoqués par le cyclone garance en février 2025 sont...
Risques naturels 11/11/2025 - 10:52 | Caraïbes Dans les Caraïbes, plus de 700 000 enfants affectés par l’ouragan Melissa, selon l’UNICEF Après l’ouragan Melissa, l’UNICEF alerte sur la menace qui place sur des centaines milliers d’enfants dans les Caraïbes. Le...
Risques naturels 10/11/2025 - 15:15 | Saint-Bathélemy Un séisme de magnitude 3,9 enregistré à l’Est de Saint-Barthélemy Un séisme de magnitude 3,9 de type tectonique a été enregistré, ce lundi (10 novembre), à 13 h 39...
Risques naturels 05/11/2025 - 10:17 | Antilles La présidente de l'ARCEP en visite aux Antilles La présidente de l’ARCEP (autorité de régulation des communications électroniques, des postes et de la distribution de la presse)...
Risques naturels 04/11/2025 - 17:32 | Caraïbes Ouragan Melissa : 43 morts en Haïti, au moins 76 dans les Caraïbes En Haïti, 43 personnes ont perdu la vie après le passage de l’ouragan Melissa, selon un bilan provisoire établi...
Risques naturels 03/11/2025 - 11:10 | Jamaïque Ouragan Melissa : le Dumont d'Urville est arrivé en Jamaïque, les Etats-Unis promettent 3 millions de dollars à Cuba Comme prévu, la bâtiment d'assistance outre-mer est arrivé en Jamaïque. Les opérations de déchargement des 227 m3 d'aide humanitaire...
Risques naturels 02/11/2025 - 13:00 | Jamaïque Ouragan Melissa : 28 morts en Jamaïque, des hôpitaux de campagne bientôt installés Plusieurs hôpitaux de campagne vont être installés dans l’Ouest de la Jamaïque pour faire face aux destructions causées par...
Risques naturels 30/10/2025 - 19:03 | Caraïbes L'ouragan Melissa se dirige vers les Bermudes, au moins 24 morts en Haïti L'ouragan Mélissa, qui a fait au moins 24 morts en Haïti, dévasté des régions entières de la Jamaïque et...
Risques naturels 30/10/2025 - 16:26 | Caraïbes Ouragan Melissa : le Dumont d’Urville mobilisé pour convoyer du fret humanitaire en Jamaïque Après le passage dévastateur de l’ouragan Melissa dans la Caraïbe, le navire Dumont d’Urville a été réaffecté pour acheminer...
Risques naturels 29/10/2025 - 10:50 | Cuba Ouragan Melissa : Cuba, durement touché, fait face à des “dégâts considérables” Après avoir frappé la Jamaïque et Haïti, l’ouragan Melissa a touché Cuba avec une intensité extrême. Plus de 700...
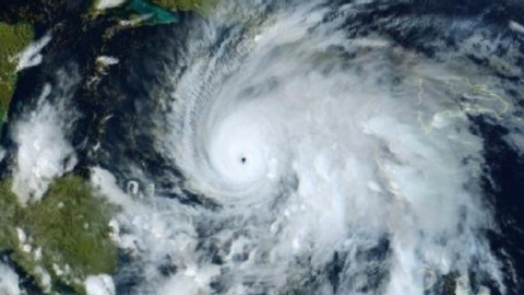
Risques naturels 28/10/2025 - 17:51 | Caraïbes Rétrogradé en catégorie 4, l’ouragan Melissa se dirige vers Cuba Après avoir frappé de plein fouet la Jamaïque ce mardi (28 octobre), l’ouragan Melissa a été rétrogradé en catégorie...
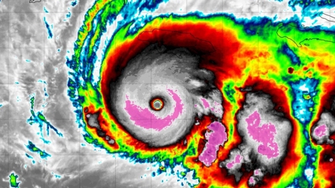
Risques naturels 28/10/2025 - 16:22 | Jamaïque La Jamaïque frappée par l’ouragan Melissa : « Il ne nous reste plus qu’à prier » L’ouragan Melissa, classé catégorie 5, a touché la Jamaïque ce mardi (28 octobre), générant des vents de près de...
Risques naturels 27/10/2025 - 18:55 | Jamaïque A l’approche de Melissa, la Jamaïque se prépare au pire ouragan de son histoire La Jamaïque subit, ce lundi (27 octobre), de fortes pluies et des vents violents à l’approche de l’ouragan Melissa...
Risques naturels 27/10/2025 - 09:33 | Antilles Séismes : au moins deux secousses mesurées à 6,6 et 6,2 au large de la Guadeloupe par l'OVSG Deux, voir trois séismes ont été ressentis ce lundi matin (27 octobre) au sein de l'Arc Antillais. Selon l'observatoire...
Risques naturels 27/10/2025 - 08:57 | Antilles La terre tremble en Martinique et en Guadeloupe, une secousse largement ressentie Un tremblement de terre conséquent a touché l'Arc Antillais ce lundi matin (27 octobre) aux environs de 8 h...