Risques naturels
30/06/2024 - 12:48
|
Martinique et Guadeloupe
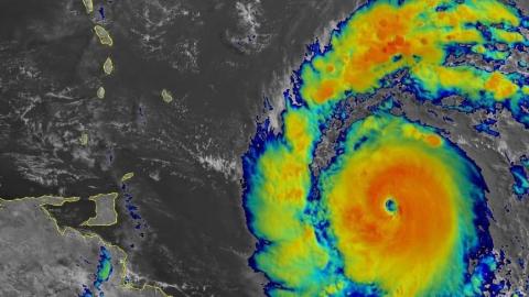
Béryl est désormais un ouragan de catégorie 4
De fortes dégradations des conditions météorologiques sont prévues dés ce soir à l’approche de l’ouragan Béryl, désormais de catégorie...








