Mélissa devient un ouragan de catégorie 5, catastrophe imminente en Jamaïque
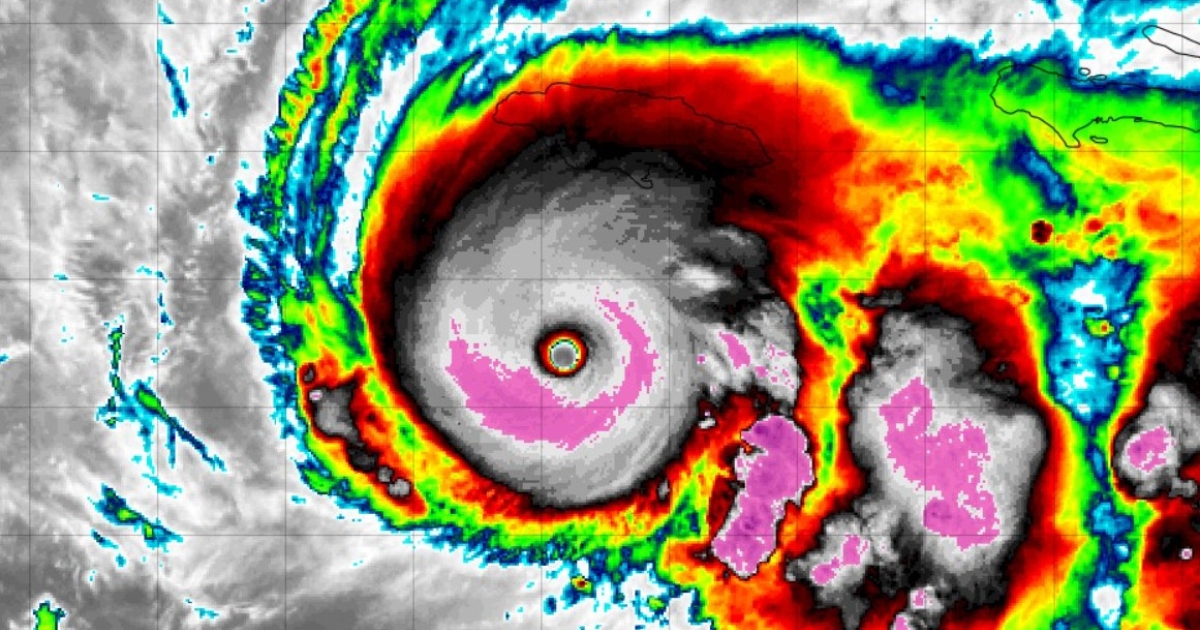
La nuit a permis à l'ouragan Mélissa d'atteindre la catégorie la plus élevée sur l'échelle de Saffir Simpson. Désormais ouragan de catégorie 5, le phénomène se dirige droit vers la Jamaïque à très faible allure, ce qui multiplie la gravité des dégâts à venir.
Avançant à une vitesse de l'ordre de 6 km/h, l'ouragan Mélissa s'est renforcé au cours de la nuit pour atteindre la catégorie 5. Ses vents minimum sont de l'ordre de 251 km/h.
Le NHC localise le centre du cyclone à environ 200 kilomètres au Sud de la Jamaïque. Mélissa devrait toucher terre d'ici mardi matin. Néanmoins ses effets se feront sentir dès ce lundi (27 octobre 2025). Au regard de sa faible vitesse, l'ouragan devrait provoquer des dégâts jamais vus sur l'île où l'on s'attend au pire.
Melissa a déjà fait quatre morts au cours de la semaine sur l'île d'Hispaniola, trois en Haïti et un en République dominicaine, outre un adolescent porté disparu.
"La faible vélocité signifie que ces conditions d'ouragan, potentiellement majeures, vont se maintenir ou apparaître sur l'île de la Jamaïque (où se dirige désormais l'ouragan, NDLR) pendant plus de 24 heures et les conditions de tempête tropicale pourraient se prolonger pendant encore deux ou trois jours", a expliqué lors d'un bulletin vidéo le directeur adjoint du NHC, Jamie Rhome.
En Jamaïque, l'aéroport et les ports sont fermés depuis samedi soir.








